
Dissertation Proposal – Student Submitted
December 22, 2020
Improving Occupants Safety in High Rise Buildings
December 22, 2020Planning, development, and surveying stand as pivotal pillars driving urban evolution, laying the foundation for transformative changes within cities. According to a delegation decision report by Nottingham City Council, the Mondella Center has been vacant since 2011, when it was transferred from Nottinghamshire County Council. Over the years, this facility has remained unused, awaiting the identification of alternative uses. However, discussions have been ongoing with the Energy Partnership of Nottingham to explore the potential utilization of this property, aimed at supporting the revitalization of the local area.
Explore How National Planning Policy Framework Can Contribute in Sustainability
In collaboration with Nottingham Express Transit (NET), residents have actively worked to enhance the community's well-being. Consequently, a proposal has been made to retrofit the Mondella Center in line with the latest energy efficiency standards and modern retrofit or new construction schemes. This initiative seeks to underscore the commitment to the development and rejuvenation of the Green Street area.
Mondella Centre Map

Structural Awareness
Before initiating any repair or maintenance work, it is imperative to conduct a thorough assessment of the Mondella Center's current condition. In this case study, a concise inspection of structural elements has been undertaken as part of the proposal to refurbish this building, which forms a vital component of the broader area regeneration project. This evaluation is particularly crucial for older structures like the Mondella Center, as it is essential to comprehensively assess the structural conditions to ensure the safety and well-being of the building's occupants, as highlighted by Chandratilak Dias in 2015.
Various factors can render a building unstable, including the potential impact of natural disasters or fires, which may lead to structural damage or collapse. Thus, it is of paramount importance to consider the structural resilience of the building under examination. Additionally, dilapidation and inadequate support in beams can exacerbate the damage caused by these external factors, emphasizing the need for a thorough analysis.
Among the critical structural elements of any building, the columns play a pivotal role. However, it is rare for issues to arise in the sheer walls of a building. Equally important is the assessment of joints to determine the integrity of column and beam connections, as discussed by Lemon et al. in 2015.
Beyond the structural components, inspecting non-structural elements, including suspended ceilings, wall partitions, heating and air conditioning systems, and plumbing, is equally essential. These components are fundamental for ensuring the facility is equipped with the amenities for its occupants.
In the case of the Mondella Center, visible damage to the walls is evident, easily identified by tapping the walls from the exterior and listening for a solid sound (as shown in Figure 1). Shear cracking indicates severe structural damage that demands immediate attention. Additionally, leaning walls, as depicted in the figure below, are a telltale sign of a compromised building structure that warrants urgent intervention.
Figure 1: Damage to the wall
Likewise, the condition of the soil is another critical structural aspect that demands thorough consideration to mitigate the risk of natural hazards. Older buildings are particularly susceptible to seismic events, making it crucial for architects to anticipate their behaviour in such scenarios. To achieve this, architects utilize earthquake region maps and advanced simulations to predict how a building might respond during future earthquakes.
Understanding how earthquakes can affect a building, especially the type of soil it's founded upon, is paramount. Earthquake waves typically arrive from various horizontal directions, leading to different responses in different buildings. For instance, one building may experience a column being pushed downward, while another might be pushed sideways or away (as illustrated in Figure 2). This necessitates that a building possesses the strength to withstand forces emanating from various directions.
Consequently, it is highly advisable to conduct in-depth analyses of both the soil and structural elements of the Mondella Center. Given its specific context and vulnerabilities, these analyses will provide valuable insights and guidance on whether it is technically feasible to proceed with retrofitting work on this structure.
Figure 2: Forces of the earthquakes
Source: Lemon et al. (2015)
Furthermore, the present concrete construction practices incorporate different foundation types chosen based on the specific soil characteristics upon which they are built, as discussed by Temby et al. in 2014.
In regions with stable and firm soils, it is customary to employ footing spread across a tie beam or a baseboard footing. However, continuous and tie beam foundations have become preferred in soil-softer areas.
During seismic events like earthquakes, tie beams become crucial in ensuring that the foundation effectively supports the building. As a result, tie beams with continuous footing foundations are commonly utilized, as illustrated in Figure 3 below.
Building Regulation Compliance
The Building Regulations are established by the authority granted by the Building Act of 1984, as outlined by Lemon et al. in 2015. Sidney & Andrew, in 2014, emphasize that the prevailing regulations, known as "The Building Regulations 2010," hold significant relevance for most building projects. These regulations serve as a vital framework to ensure the well-being and safety of building occupants, promote energy efficiency, and facilitate access and usage of structures.
Within the Building Regulations, one can typically find various sections that encompass definitions, procedures, and requirements for compliance in the context of any given construction project, as discussed by Petal in 2003. The Mondella Center, being classified as "Building Work" under Section 3 of the act, falls under the purview of these regulations. Consequently, the building must adhere to the stipulations outlined in the Building Regulations. This entails making necessary modifications based on evaluating the structure's current condition, as outlined in the RICS condition analysis document (attached RICS condition analysis).
Figure 4: Damaged Window pane replacement suggested
Figure 5: Fixing the drainage system suggested
Any proposed construction or renovation works must align with the relevant technical prerequisites. For instance, replacement activities must adhere to the Building Compliance standards concerning health, air supply, and ventilation, as indicated by McGuidan in 2002.
Modifications to the existing building must also conform to the Building Regulations since changes in the use of the structure fall under the category of "Building work" as defined by the regulations. It is imperative to ensure compliance if there's a need to replace either a portion or the entire window glass panes. This typically involves engaging a FENSA (Fenestration Self Assessment Scheme) registered installer and seeking oversight of the Building Control Service.
Upon completing such work, obtaining a certificate from the local authority is necessary, confirming that the work complies with the stipulations outlined in Part L and other relevant sections of the Building Regulations, as illustrated in Figure 4.
Part III of the Regulations 2010 states that notices or plans may have to be submitted to the local authority for building works that include renovation or replacement of a thermal element within an energy-efficient infrastructure, changing the energy status of a building, any material change that is of use to the building and users. Moreover, Section 15 requires the owner to consult with the sewage undertaker as soon as the plans have been deposited, especially where the local authority has required it. Section 16 of the Regulations requires the local authority to be notified during the completion or commencement of certain types of work. Section 17 allows the authorities to issue certificates of completion where all requirements from the regulations have been successfully complied with. Where the local authority feels that some building work has been carried out that has not been authorized, then under Section 18, the owner must file for a regularization certification, which should include a description of all the work that was carried out, any plans that show the building and any plans that may be implemented to ensure compliance with the regulations. Under subsection (3), the local authorities can ask for samples or tests from the site and even inspection, after which, if they are satisfied, they may issue a regularization certificate. However, it is important to note that the Regulation regards this certificate as merely showing evidence but not being conclusive of compliance with the provisions.
During the inspection of the Mondella Center, it became apparent that the necessary repair work within the building may involve removing and replacing certain building components. This observation is illustrated in Figures 4 and 5, indicating that the overall structural condition has not completely deteriorated.
The change in the building's use aligns with the definition of a material change of use, as specified in the regulations. Consequently, the building is required to adhere to the guidelines about safety, hygiene, energy conservation, fire safety, and emergency escape protocols. Furthermore, the building must also conform to the Regulations outlined in the guidelines concerning various structural aspects, including drainage systems, radon mitigation, and management of contaminated substances. These considerations constitute an integral part of the Building Regulations governing the proposed building work.
The structural evaluation of the Modella Center has been completed, details of which have been presented in the section below. This investigation aimed to analyze this facility and recommend a course of action that can be undertaken to support sustainable development with a particular focus on refurbishment so that it can be re-used as a part of the subject area’s regeneration program.
Defects report
| Project: Area/Room/Elevation/Location: Floor: User Category: | |||||||
| ELEMENT | DESCRIPTION | OBSERVATIONS ON CONDITION | CONDITION INDICATOR | REMEDY | PRIORITY | PROJECT CODE | PLATE NO. |
| Ceilings | This is the upper interior surface of a room | Visible inspection of the Mundella Center showed wear and tear of paint and destroyed lighting | 3 | Stripping of old paint, patching the minor damaged areas and repainting Fixing the lighting system | 001 | NT00 1 | AF6494 |
| Walls | This structural element encloses a building to form the periphery of a room or the building. | Inspection showed worn-out paint, cracks that follow the mortar joints running between windows, bad drainage Part of the wall made of timber has been rotten at various locations in the centre | 4 | Stripping of the old paint and repainting Reinforcement of the structural wall brick walls using connectors, non-shrinking mortar, and special fasteners by removing portions of the cracked walls Addition of the drainage opening and | 002 | Nt002 | 4FQA1 2 |
| Roof | This is a cover at the top of a building that helps protect from rain, sunlight, snow, wind and high temperatures | Inspection of the facility showed that the roof is in relatively good shape. | 2 | Maintenance of openings. Removal of part of the rotten timber | 003 | Nt003 | FY352 |
| Windows | This is an opening within the wall of a building to allow light and air into the building and sometimes act as a piece of architectural decoration. | Many of the Mundella Center’s window glass panes were noticed to be broken, with worn-out paint | 3 | Replacing the cracked window glass panes Remove the old paint and repainting | 004 | NT00 4 | AX231 |
| Project: Area/Room/Elevation/Location: Floor: User Category: | |||||||
| ELEMENT | DESCRIPTION | OBSERVATIONS ON CONDITION | CONDITION INDICATOR | REMEDY | PRIORITY CODE | PROJECT CODE | PLATE NO. |
| Doors | This is the rectangular opening in a rectangular wall that offers access to a building and provides security and weather protection. | The doors of the facility were in good shape, as no apparent damages were noted during the inspection | 2 | Maintenance | 005 | NT00 5 | XY78W 2 |
| Façade | This is the exterior face of the front of a building | No obvious wear was observed during the facility inspection | 2 | Maintenance | 006 | NTT0 06 | UD63C |
| Arch | This is the curved structure that consists of bricks or blocks and offers support to the weight of a large structure | Large arched openings were observed | 1 | Install tie rods across them | 007 | NT00 7 | ZJ098V |
| Vault | This is the curved masonry structure that supports the roof or offers support to the floor above | No obvious damage or wear was observed during the structural inspection of the Mundella Center | 2 | Maintenance | 008 | NT00 8 | RTY62 |
| Project: Area/Room/Elevation/Location: Floor: User Category: | |||||||
| ELEMENT | DESCRIPTION | OBSERVATIONS ON CONDITION | CONDITION INDICATOR | REMEDY | PRIORITY | PROJECT CODE | PLATE NO. |
| Concrete | It consists of cement, water, and the stone aggregate | Cracked and crushed concrete Damage to the walls at various locations of Mundella Center is also shown in Figure 4. | 3 | Removal of lost material and replace it with cement mortar and cement For the damaged wall, provide the steel mesh, nail it to the wall and cover it with plaster | 009 | NT00 9 | BU76G 3 |
| Random rubble | This is masonry work where the building stones are made without coursing | Loose uncooled stones and seem to lack coursing | 1 | Strengthen them by internal impregnation through the rich cement mortar grout | 010 | NT01 0 | KWK43 2 |
| Buttress | This is the small section of the masonry work that is built at the right angles to a wall so that it can prevent lateral forces | No obvious damage | 2 | Maintenance | 011 | NT01 1 | VTF42 O |
| Column | This is a structural element which bears the weight of a building | No obvious damage was observed during the inspection | 2 | Maintenance | 012 | NT01 2 | 512BN B2 |
Constraints & Opportunities
Developing a sustainable environment relies on the changes toward sustainable consumption and production. This emphasizes that the development of a building should consider the goals of One Planet Living Global as well as the National and Regional Policies. The One Planet Living Global involves the Agenda 21 Regional Spatial Strategy, Local Planning Policy Framework and the Building Regulations (Macnaghten & Szersynski 2013). Therefore, evaluating the building in question, “The Mundella Centre”, and its opportunities and constraints regarding sustainability development is important.
From the literature reviewed, it was observed that space planning is an important factor in structural engineering. The social evolution and its organization are mostly interconnected through geography. The distance and the changes in the resource endowment, the climate and the topography play a part in the development of the social processes. Particular spatial features, such as the availability of natural characteristics, do not have an automatic result (Goodwin
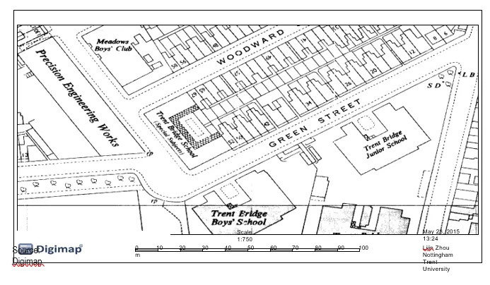
2014). The spatial imbalances in development must be well understood for development purposes (Fort 2007). Thus, regional policy is required to ensure national stability because the policy would most likely be initiated in areas with particular problems. For instance, the locality of Mundella Centre has faced several economic and social challenges resulting from historical unemployment in the area. Hence, the subsequent regional policies in the area were implemented to ensure that the area develops to offer economic and social benefits to the people. This is supported by the surrounding tree's access to Woodward Street and Green Street, which provide accessibility to the centre (figure 6).
This offers an enhanced opportunity for the centre's development, which is in line with the regional policies on the economic and social development of the area.
Based on the building regulations in the UK, as outlined previously, refurbishment of this building requires compliance with the regulations. This involves the structural elements that indicate the condition of the building and need to be repaired as per the regulations. However, since this facility is equipped with multiple access points and various good neighbouring facilities, this refurbishment of this facility can turn out to be highly beneficial for the local community in the years to come

Evaluation of Current Assessment Methods Regarding the Refurbishment & Operational Use
The assessment method is important in promoting the development of systems that support the environmental performance of a given building and its sustainability. Note that the LEED and the BREEAM are two major methods of assessment of the refurbishment of a building and its operational use. Evaluating the current assessment methods makes it possible to identify several differences, such as the objectives, utilizations, type of residents and the application phase. The assessment methods to be used can be categorized based on the type of building being assessed, the users of the given method, the phases of the lifecycle under assessment, the structure, particular sustainability criteria for the building and the classification and communication format for the results.
Buildings often differ based on the activities carried out within the building, the location, the community the building serves and the economic and financial features associated with the building (Fang & Wang 2011). from the literature reviewed, it was observed that methods such as Green Star, BREEAM, LEED and CASBEE are often utilized, particularly in the context of a given country.
Assessing a site does not necessarily dictate restrictions about the type of dwelling. For instance, Mundella Centre consists of a site with a block of flats along with other houses which require assessment, but their score in the rating is given to the building after certification. Based on the BREEAM Domestic Refurbishment report, it evaluates a building and the rating provision.
Lemon et al. (2015) suggested that the structure of a building is vital in the assessment methods since it is responsible for establishing the overall performance score. The current assessment method is categorized on the aspect of sustainability and offers a way of calculating a single overall score based on a set of weights. The weights are often based on the relevance of every category in the sustainability of Mundella Centre, and subsequently, the higher weights indicate greater significance.
The BREEAM New Construction and the Green Star are similar based on the sustainability category, as both systems incorporate sustainability parameters in detail. In addition, based on the weighted scoring, the distribution on the Green Star is often similar to the LEED, in which the ‘energy’ and the ‘quality of the environment have a higher weight (of about 50 %) while for the ‘BREEAM New Construction’ it rated at about 30%. Despite that, the BREEAM New Construction has a balanced distribution in structure of the categories (in terms of sustainability criteria), including the management, indoor environmental quality, quality of the service, energy, transport, water, materials, waste, sustainable sites and pollution, as shown on figure 7 below;
Figure 7: Distribution of weights on the sustainability of the assessment methods on refurbishment
Source Goodwin (2014)
On this note, it can be observed that Mundella Centre is a dwelling type specification. Its BREEAM scoring can be categorized as follows, considering different elements of sustainability on management, energy, water, materials, pollution, waste, health & wellbeing and innovation (table 1).
Table 1: Current BREEAM Scoring for Mundella Center
As seen from Table 1, it is important to note that the refurbishment process of the building specifically considers the design of the building, improved measures, increased requirements on the contractor, improved the procurement process, and enhanced the current design opportunities. This indicates the sustainability of the building.
In terms of visual comfort, it can be noted that physical comfort has an important role to play in the performance of a building. The green offices offer an outstanding experience to the user based on the appearance, the acoustic quality and the temperature. The original design of the building and its planning have provided green office space with a pleasant, harmonious and communication-friendly environment, which can be reinstated during the refurbishment works (figure 8).
Figure 8: Visual comfort of the building can be enhanced, as provision is available
On the other hand, the building has access to public transport, and this is vital for the users of the building, thereby leading to overall environmental sustainability. However, in the original plan, the open space does not open to the front road, and the design for the entrance to the site does not have tree planning to offer a green environment (figure 9). The redesign of the open space is therefore recommended to include trees; access to the road in the open space will offer visibility and will maximize the surveillance of the space, as shown in the figure above
As in the BREEAM New Construction method, the original plan does not show the retention of trees within the central area or on the periphery of the building. Moreover, in terms of water quality, there is no sustainable urban drainage scheme on the water retention basin, given the open space and the adjacent areas (figure 9). However, there is an opportunity to enhance biodiversity value by planting trees, which will improve sustainability.
Figure 8: Visual comfort of the building can be enhanced, as provision is available
On the other hand, the building has access to public transport, and this is vital for the users of the building, thereby leading to overall environmental sustainability. However, in the original plan, the open space does not open to the front road, and the design for the entrance to the site does not have tree planning to offer a green environment (figure 9). The redesign of the open space is therefore recommended to include trees; access to the road in the open space will offer visibility and will maximize the surveillance of the space, as shown in the figure above
As in the BREEAM New Construction method, the original plan does not show the retention of trees within the central area or on the periphery of the building. Moreover, in terms of water quality, there is no sustainable urban drainage scheme on the water retention basin, given the open space and the adjacent areas (figure 9). However, there is an opportunity to enhance biodiversity value by planting trees, which will improve sustainability.
Figure 9: Original plan for Mundella Center; recommended to be revised to enhance sustainability
Environmental Sound Technologies
According to the European Union News (2012), using environmentally sound technologies is important to reduce carbon emissions and spheric pollution. This can be accomplished by encouraging local energy generation through renewable energy resources to accommodate a significant amount of required energy. Based on this issue, there can be three areas that are included in this feasibility study (1 credit): the low / zero carbon technology specification and the installation (4 credits in addition to an exemplary credit) and also a free cooling (1 credit).
However, the review of renewable energy low-carbon technologies focused more on solar panels, water-use sanitary units, hydroelectricity, air source heat pumps, and biomass CHP (Fang & Wang 2011). Even though no specific technology was discounted in this evaluation report, it can be observed a suitable installation site for the hydroelectric and medium/large scale wind turbines is not available; hence, these technologies cannot be considered a viable solution for the site of Mundella centre. While these methods would prove a viable option for low carbon emissions, it is important to note that more evaluation on the possible location of these technologies is required.
Nevertheless, site-specific evaluations are needed for the biomass CHP systems; however, other technologies, such as solar panel heating and low-water sanitary units, are viable options in the area.
Just as the Code for Sustainable Homes and the requirements for BREEAM, the policy PCS9 encompasses the requirements for energy in development (Goodwin 2014). Considering that no particular data is available for the impact of the cost of this kind of policy, a distinct renewable energy and low-carbon technology scenario is proposed in this report. In this scenario, an approximation of the cost of installing the technologies has been provided.
Scenario– 15 Rooms
The more costs associated with using environmentally sound technologies in the 15 rooms will be an estimated average of 2 % (£5,583) of the cost of refurbishment of the building. This can be reduced to £2,667 or 1.67 % of the refurbishment cost when Code Level 5 is fully used this year. This results from the increased carbon reduction targets achieved within the higher code levels, hence the reduction of the overall emissions from the increased policy requirements on BEEAM.
Using environmentally sound technology is related to the overall refurbishment cost. It is likely to increase with the size of the development as Policy PCS9 implies that the developers have to meet the “Excellent” standards of BEEAM implementation. Despite this, it must be known that the proposed figures are based on assumptions and that the developers would be required to install more technology combinations to comply with the policy requirements, which could result in variations in the refurbishment cost. While these are just indications of the increased cost of refurbishment, more significant savings can result from this change of use of the building in terms of economies of scale.
Note that the evaluation of the domestic development baseline on regulated and unregulated emissions and the need for further reduction could most likely place more burdens financially on Nottingham Energy Partnership (NEP) through increased reductions on renewable energy and low-carbon technologies. For example, to achieve Code Levels 5 & 6, it is required that Nottingham Energy Partnership includes the important element of renewable energy and low-carbon technology. Achieving further carbon emission reductions using low-carbon technologies would imply using more financial resources.
However, this report does not evaluate the non-domestic developments as part of low-carbon technologies. This is because of the differences in energy consumption in the speculative refurbishments; despite this, the requirement on planning has been used widely within the UK, and there is likely to be no issue in the implementation within the Mundella Centre.
While there are constraints in finances, it can be noted that by implementing the “Merton Rule” requirement about low carbon dioxide emissions through low-carbon technologies, NEP can use an alternative approach. Based on the renewable energy requirement on Policy PCS9, there is a need for compliance with the Code for Sustainable Homes Credit Ene7 for the low carbon technologies. In addition, the following adoption levels are important:
- The minimum of only a credit that needs to be achieved while at the same time, the general policy is being able to reach the Code Level 3
- A minimum of two credits must be achieved with the Code Level 4 and higher.
By accomplishing these, this method would ensure that the Code requirements and any additional reduction in carbon dioxide emission depend on the Code's compliance. This implies that the given policy is robust and cannot be interpreted.
Supply Chain Management
Supply chain management is an important tool in managing collaborative work with different participants in the supply chain, such as the clients, the consultants, the contractors and the manufacturers (McGuigan 2002). This is a vital method as it reduces delays and wastage of materials, reduces cost in the supply chain, increases supply in the supply chain, improves communication and information sharing between the partners, agility, responsiveness, and customer satisfaction.
As per the BREEAM requirements, it is vital that a project establishes a way in which it manages its waste based on the waste hierarchy. The waste production is measured by evaluating the waste that leaves a site or the waste contractor. The total amount of the waste produced can be calculated by:
The total amount of the produced waste per annum (tones) * 100 / the total yearly production of output (tones)
To measure the level of waste sent to different disposal points, the destination will require identification and the weight of the waste output in each destination. However, improving the performance at work requires the waste management objectives to be set and reported to the lead designer on the waste management. The following are the set mechanisms that will be used to manage traceability of materials in the supply chain:
- Identify and trace the constituent materials in every stage in the supply chain towards the source of the materials as per the sub-clause 7.5.3 of ISO 9001 (Petal 2003).
- Provide the equivalent documentation of the traceability of the materials in the supply chain.
- In addition, the lead designer must communicate effectively and work constructively within the supply chain to deliver the practices and the policies.
- Ensure that they operate in a transparent manner and record as well as report all the complaints that are related to corrective actions.
- Further, it is important for the lead designer to ensure a written policy regarding sourcing as per sub-clause 4.1, which is compulsory for improved performance in the supply chain.
It can be noted that the construction aspect constitutes a connection of five major flows. They include the business flow, the design flow, the job site flow, the supply flow and the use and maintenance flow (figure 10). The building owner influences the business flows, which include the requirements for refurbishment, planning of the project, the design, contracting, monitoring and the delivery of the final project to the client. The architect often manages the design flow and is led by the consultant. The job site is often generally managed by the contractor; this flow constitutes help from the subcontractors and the suppliers. The flow from the supply consists of several products, including the materials and the components and is related to the supply chain. The use maintenance flow begins when the project has been delivered and consists of the use, operation and maintenance, the repair, refurbishment, remodel or demolition. All these often require being in line with the BEEAM requirements.
Figure 10: flows in construction
Land & Property Law
Traditionally, the land law comprised all property rights acquired through either equity, common law, or the registration system, which has to be completed through a sale contract and registration of rights with Her Majesty.
The primary legislation that covers the development of owned land is the Town and Country Planning Act of 1990, whereby Section 57 lays down the basic principle of requiring permission to develop land. Interestingly, Section 57 expands to define development as any mining, building, engineering activity or any such work that brings a material change to the infrastructure. However, section 57(2) lays down an exemption for permission for dwellings that changed their property for agricultural, enjoyment or forestry purposes. However, splitting or demolition of the house does require permission. Changes can also be made within the property classes set; for example, C3 is houses, A3 is bistros and cafes, C1 is hotels, and A1 includes hairdressing or bookstore shops. Usually, a change of the use of the property within the same class does not require any permission from the authorities; however, section 106 allows the authorities to implement certain conditions that would be required to be followed unconditionally. Section 171 allows the authorities to bring action against the owners who breach the conditions mentioned by them,; Subsection (2) states that if no action is brought forth within four years, the owner gains immunity from further action
The Licensing Act of 2003 lays down detailed provisions for buildings that will be used for a specific purpose, such as a salon, a club or a café, regarding their licensing and maintenance of the building.
It is important to note that based on the developer’s agreements, there are laws on the dedication of or vesting of new roads or sewers. The agreements that are drawn up between the developer, the local authority and the water sewerage often have to make provisions regarding the building and work that is to be provided; however, this is done at the expense of the developer, based on offering connection with permission to plan for the given development (Temby et al. 2014). Note that in case that a developer vests, for no consideration of the monetary value:
(a) Based on the provisions of the Highways Act of 1980 or the Roads Act of 1984 for a new road (Steenberg et al. 2015).
(b) The new sewer or the ancillary work based on the provisions of the
Water Industries Act 1991 or the Sewerage Act 1968 (Petal 2003).
It is not under the supply of the developer. No VAT is charged to the local authority or the undertaker for the sewerage.
Note that the income tax incurred in the construction of the work is related to the development supplies, which are often served by the road or the sewer. For example, when the supplier of a building is a taxable supplier for refurbishment, then the input tax that is incurred on the repair of the roads and the sewers can often be recovered based on normal rules. However, when the developer makes the exempt supplies, then you won’t be able to recover the input tax.
In addition, there is the Community Infrastructure Levy (CIL) which the local authorities in England and Wales often charge the developers within their area. This money is used to offer support to the development of infrastructure in the local communities and the neighbourhoods. Note that the CIL is not considered for any of the supplies for the local authorities to the developers, which is also outside the scope of the VAT.
The developer cannot pay the money but rather transfer the asset, for instance, the land, to the local authority. Additionally, this is not often for the supplies by the local authority towards the developer. The transfer of the given asset may result in the supply of the same by the developer towards the local authority.
Local Authority Planning Application
A Local Authority Planning Application is a formal process through which individuals or organizations seek permission or approval from their local government or municipality to undertake specific development, construction, or land use projects. These applications are essential for ensuring that urban and rural areas are developed in a controlled and organized manner, promoting the well-being of the community and the environment.
| |||||||
| |||||||||
PLANNING APPLICATION FORM
| |||||||
- NAME OF THE RELEVANT AUTHORITY: F o l kestone Local Authority
- THE LOCATION FOR THE PROJECT:
MundeUa Ce.nter
3.TYPE OF PLAN:"ING PERMISSION:
[.f] Pennission
] Permission for re.te.ntion
i.DESCRIPTION OF PROPOSED BUILDING
] Outline Permission is a refurbished business centre building with several offices.
- APPLICANT:
VJ amt?{t) : Nottingham Energy Partnership {l'lEP) Couttur deraiLs
Nottingham Energy Partnership
the floor Castle Heights
b2 1.iaid Marian Way
|
8. THE LEGAL INTEREST OF APPLICANT RELATION TO THE STRUCTURE:
Owner
| 11. SITE HISTORY |
| Detailt ou siu ldsrorr |
Has this site been flooded before? Yes [ .f ] No[ ] Do you know the past use of the site? Yes [ ] No [ .f] |
Do you know any valid planning application previously made for this building? Yes [ ] No [ .f ] |
| |||||||||
2. CONSULTATION ON PRE-APPLICATION:
Has there been a pre-application consultation about proposed changes?
THE CONTACT DETAILS
| |||||||||
- 4. CONTACT DETAILS
Yo s ( J
No[ .f]
Nottingham Energy Partnership
ih Floor Castle Heights
Maid Mru1an Way
References
Chandratilake, S, & Dias, W 2015, 'Ratio-based indicators and continuous score functions for better
assessment of building sustainability, Energy, 83, pp. 137-143, ScienceDirect, EBSCOhost, viewed
26 May 2015.
'Council helps 'One Planet Living' go global', 2012, European Union News, 2012, General OneFile, EBSCOhost, viewed 26 May 2015.
'Criteria for Architects and Engineers to Achieve Sustainability and Buildability in Building Envelope Designs' 2014, Journal Of Management In Engineering, 30, 2, pp. 236-245, Business Source Complete, EBSCOhost, viewed 26 May 2015.
Feng, Y, & Wang, L 2011, 'Research on the Influence Factor and Innovation System of Environment Sound Technology Innovation', Procedia Environmental Sciences, 10, Part A, pp. 66-71, ScienceDirect, EBSCOhost, viewed 26 May 2015.
Fort, TL 2007, 'The Corporate Contribution to One Planet Living in Global Peace and Security', Journal Of Corporate Citizenship, 26, pp. 20-24, Business Source Complete, EBSCOhost, viewed
26 May 2015.
Goodwin, RW 2014, 'Environmental perspective update: hydraulic fracturing: applying sound engineering and scientific investigations will improve hydraulic fracturing technology and avoid deleterious past practices while achieving enhanced practices', Pollution Engineering, 10, p. 34, Academic OneFile, EBSCOhost, viewed 26 May 2015.
Lemon, M, Pollitt, M, & Steer, S 2015, 'Case study: Local energy policy and managing low carbon transition: The case of Nottingham, UK', Energy Strategy Reviews, 6, pp. 57-63, ScienceDirect, EBSCOhost, viewed 26 May 2015.
Macnaghten, P, & Szerszynski, B 2013, 'Living the global social experiment: An analysis of public discourse on solar radiation management and its implications for governance', Global Environmental Change, 23, pp. 465-474, ScienceDirect, EBSCOhost, viewed 26 May 2015.
McGuigan, D., 2002, Urban Search and Rescue and the Role of the Engineer, Master Thesis, Canterbury: University of Canterbury
Petal, M. 2003, Research Report: Afyon (SultandaBolvadin), Earthquake Deaths and Injuries, Reconnaissance Study, Boazici University, Disaster Preparedness Education Project, Istanbul, Turkey
Sidney M., L, & Andrew M., 2014, Section 12: Green Buildings And Sustainability, n.p.: McGraw-Hill
Professional, AccessEngineering, EBSCOhost, viewed 26 May 2015.
Steenberg, J, Timm, M, Laurent, K, Friedman, K, Krantzberg, G, Scavia, D, & Creed, I 2015, 'Living on the Edge: How we converted challenges into profitable opportunities', Journal Of Great Lakes Research, 41, Supplement 1, pp. 150-160, ScienceDirect, EBSCOhost, viewed 26 May 2015.
Temby, O, Kapsis, K, Berton, H, Rosenbloom, D, Gibson, G, Athienitis, A, & Meadowcroft, J 2014,
'Building-Integrated Photovoltaics: Dis-tributed Energy Development for Urban Sustainability',
Environment, 56, 6, pp. 4-17, GreenFILE, EBSCOhost, viewed 26 May 2015
Get 3+ Free Dissertation Topics within 24 hours?

































